
47.27 Acres Lot
47.27 Acres Lot
Key Details
Property Type Vacant Land
Sub Type Ranch
Listing Status Active
Purchase Type For Sale
Subdivision Bailey Acc
MLS Listing ID 21241135
HOA Y/N None
Lot Size 47.270 Acres
Acres 47.27
Property Sub-Type Ranch
Property Description
Exceptional opportunity to acquire 47.2 acres of strategically located land within the city limits of Gainesville, TX, featuring extensive frontage along both Broadway (FM 678) and Radio Hill Road (FM 3092).
This tract benefits from strong visibility and access from two major roadways, making it ideal for commercial or mixed-use development in a high-growth area.
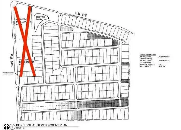
A conceptual development plan has been prepared for the property, illustrating the potential for a well-designed project (subject to approvals). This provides a valuable head start for developers looking to move quickly and capitalize on the area's growth.
The property is AG exempt and commercially zoned, with electric, water, and sewer available on-site, helping streamline the development process and reduce upfront costs.
Surrounded by established neighborhoods, a nearby school, and significant ongoing developments, this site is positioned for strong long-term demand.
Take advantage of this rare opportunity to acquire a large, development-ready tract with planning momentum already in place.
All information deemed accurate but not guaranteed. Buyer and Buyers agent to verify all information.
Location
State TX
County Cooke
Zoning Commercial
Direction I-35 to Gainesville East on Hwy 82 to FM 3092 South on FM 3092 to 4 way stop. Property is on the SE corner on the intersection of FM 678 and FM 3092.
Exterior
Fence Wire
Utilities Available All Weather Road, City Sewer, City Water, Electricity Available
Garage No
Building
Lot Description Acreage
Schools
Elementary Schools Chalmers
High Schools Gainesvill
School District Gainesville Isd
Others
Restrictions Easement(s)
Special Listing Condition Survey Available
Virtual Tour https://www.propertypanorama.com/instaview/ntreis/21241135

Nearby Locations

2626 Cole Avenue Ste 300, Dallas, TX, 75204, United States





